
▲舒力基減弱至中度颱風,7級暴風半徑仍有280公里。(圖/翻攝NOAA)
記者許力方/台北報導
預報員劉沛滕表示,雲量增多,入夜後東北角、宜花有局部降雨,衛星雲圖可見,2號中颱舒力基(Surigae)位在台灣東南方約600公里位置,帶來偏東風環流,導致東北角到宜花雲量越來越多,22日(周四)主要降雨在迎風面的東半部北部山區,其他地區晴到多雲,中南部山區午後會有些雷陣雨。預估颱風未來將慢慢往北,22日最接近台灣,之後往東北加速遠離,為沿海地區帶來明顯長浪,東半部到恆春半島浪高將上看3至6米。
氣象局預報,22日東風帶來水氣,迎風面東半部及北部山區有局部短暫雨,西半部地區大多還是晴到多雲,中南部山區有局部午後短暫雷陣雨;東半部高溫28度左右,西半部高溫30至32度,感受較暖熱,各地早晚低溫20至24度。



▲大眼舒力基剎車22、23日最接近台灣,之後加速迴轉遠離。(圖/中央氣象局)
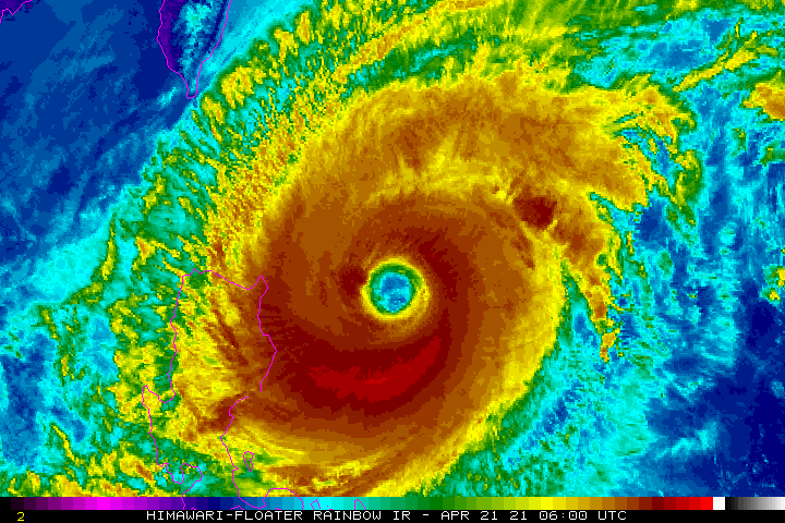
至於舒力基颱風,目前中心位在鵝鑾鼻東南方約620公里海面上,移動速度較慢,以時速8公里速度,已有北轉趨勢,未來將從呂宋島東方海面向北轉北北東前進,逐漸遠離台灣,颱風眼結構較不明顯,強度也在減弱中。近中心最大風速每秒48公尺,相當於15級風,瞬間最大陣風每秒58公尺,7級風暴風半徑280公里,10級風暴風半徑仍有120公里。
氣象局指出,隨著颱風遠離,23、24日(周五、六)大環境盛行東北風,導致迎風面水氣偏多,東半部地區及北部山區有局部短暫雨,北部平地也有零星短暫雨,其他地區維持多雲到晴,午後中南部山區有局部短暫雷陣雨;其中23日東半部有局部較大雨勢發生機率。
預估到了25、26日(周日、下周一)華南雲雨區東移通過台灣,各地雲量增多,降雨機率提高,北東有短暫雨,中南部山區有局部短暫雨,中南部平地也有零星降雨機率。

▲▼舒力基颱風。(圖/中央氣象局、NCDR、翻攝NOAA、)
前預報中心主任吳德榮在《三立準氣象》中分析,下周預報資料顯示,降雨機率有提高,大氣越來越不穩定,舒力基颱風在25日時已經走掉,但台灣附近水氣很多,26日開始就進入較潮濕的環境中,氣溫高、水氣多,容易有對流雲發展,但都是小規模、消消長長的,電腦模擬還沒有掌握的能力。
吳德榮指出,舒力基颱風眼目前直徑達60公里,「大眼颱風」代表減弱速度較慢,目前還維持在中度上限,未來會慢慢減弱,22日進到巴士海峽後就會轉向東北,以相對距離來講,22、23日距離台灣比較近,台灣21日在颱風外圍沉降作用下影響下,氣溫較高,22、23日大台北東半部、東半部與山區有午後雨,雨勢較明顯。
讀者迴響