
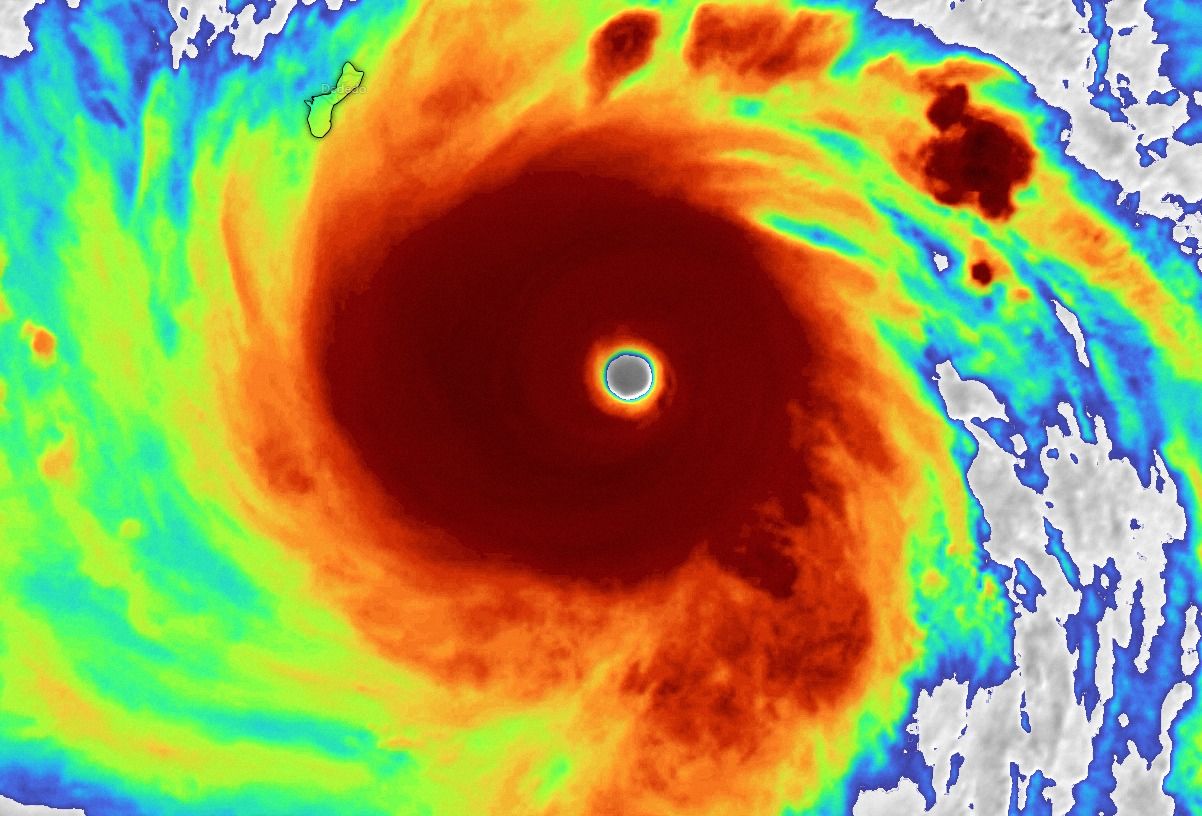
▲颱風瑪娃核心越來越紮實。(圖/翻攝自Facebook/台灣颱風論壇|天氣特急)
記者李宜秦/台北報導
明日水氣仍多,各地天氣多雲偶雨,周四到周六天氣較為穩定,周日開始受到東北風影響,降雨範圍又會擴大。而中度颱風瑪娃最快可能在明日增強為強烈颱風,預計周日移動到菲律賓東方海面時會北轉,至於對台影響程度,則要視北轉角度而定。
氣象局預報員曾昭誠表示,明日水氣偏多,西半部、花東有零星短暫陣雨,不過主要仍以多雲天氣為主,各地山區午後有雷陣雨。周四水氣減少,一直到周六都是相對穩定的天氣,周五、六宜蘭有零星降雨,周日起東北風影響,基隆北海岸、東半部、恆春半島有局部短暫陣雨,下周一、二連大台北都會有雨。

▲▼颱風瑪娃周日北轉,有可能影響台灣天氣。(圖/氣象局)

中度颱風瑪娃目前位於關島東南方270公里海面上,未來從關島附近通過後轉西北西移動,周日移動到菲律賓東方海面,屆時太平洋高壓有機會減弱,颱風就會北轉並沿著太平洋高壓南側移動,北轉幅度將成為對台灣影響程度的關鍵。
溫度方面,今天是最涼冷的一天,明日東北季風減弱,北部、宜蘭回暖到26-28度,中南部30-32度,周四開始各地高溫都可達30度以上,暖熱天氣維持到下周一。

▲颱風瑪娃三種可能路徑。(圖/翻攝自Facebook/台灣颱風論壇|天氣特急)
臉書粉專台灣颱風論壇|天氣特急表示,瑪娃以打中颱上限,核心也越來越紮實,即將成為今年第一個強烈颱風。而颱風後期路徑不確定性高,大致上有三種可能走法,第一「轉向東北」機率約55%,此走法會導致北部、東半部受環流影響有些許降雨。
第二「貼近台灣」機率40%,颱風更為靠近台灣,帶來降雨更加豐沛,可望解除乾旱危機,但災情也難以避免。第三「穿越呂宋島北部」機率5%,此走法會使西部地區炎熱,僅東部、恆春有少許降雨。
颱風論壇強調,瑪娃颱風路徑與太平洋高壓勢力消長息息相關,下周高壓勢力江東退,「整體來說,北轉是大趨勢,就看太平洋高氣壓能硬挺多久,決定瑪娃北轉時間點」。

▲▼颱風瑪娃最新路徑圖。(圖/氣象局)

讀者迴響