生活中心/台北報導
根據最新氣象資料顯示,莫蘭蒂颱風過去強度略為減弱,目前颱風眼靠近高雄近海,持續向西北移動,暴風圈籠罩恆春半島、南投、彰化以南、花蓮以南及澎湖地區。「天氣即時預報」FB提醒,風眼逐漸靠近,高雄、台南風雨會更加強,這兩區,是未來6小時迎接破壞性風雨區域,嚴加防範。

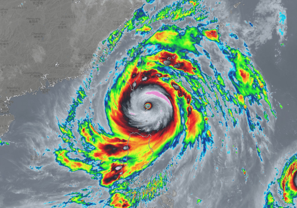
▲美國國家海洋暨大氣總署(NOAA)拍攝衛星雲圖顯示的莫蘭蒂颱風。(圖/翻攝自NOAA)
[廣告] 請繼續往下閱讀.
根據氣象局資料,莫蘭蒂以每小時18公里速度,向西北進行,雖強度減弱,但近中心最大風速為每秒53公尺(約每小時191公里),相當於16級風。目前較大陣風區域出現在蘭嶼17級,恆春16級,高雄13級,大武12級,東吉島、成功、鞍部11級,金門、基隆10級。雖然預計莫蘭蒂颱風強度仍有減弱的趨勢,但陸上颱風警戒區台東(含蘭嶼、綠島)、花蓮、恆春半島、屏東、高雄、台南、嘉義、雲林、南投、彰化、台中及澎湖、金門地區應嚴加戒備並防強風豪雨。
▲莫蘭蒂颱風14日下午13時最新路徑圖。(圖/取自中央氣象局)
「天氣即時預報」FB粉絲專頁就提醒,目前風眼就在高雄近海,高雄風雨已經非常劇烈,會更加強。台南則是即刻開始,風雨會「忽然」變很強。提醒民眾這兩區,是未來6小時迎接破壞性風雨區域,要嚴加防範。
[廣告] 請繼續往下閱讀..