
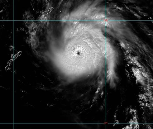
▲南修颱風「小而結實」,對日本潛在威脅高。(圖/翻攝自RAMMB/Himawari-8 Imagery)
生活中心/台北報導
[廣告] 請繼續往下閱讀.
今年編號第12號的輕度颱風「南修」,位在北東方約950公里的海面上,逐漸遠離台灣,持續向北方往日本九州前進。雖然對台灣的天氣沒有直接影響,但氣象局預報中心主任鄭明典說,南修是「小而結實」的颱風,對日本的潛在威脅還是很高!近期赴日的旅客要多留意颱風最新動態及航班資訊。
氣象局表示,輕度颱風南修,已逐漸遠離臺灣,持續往日本九州前進,對台灣的天氣沒有直接影響,但在南部、東南部、恆春半島及綠島、蘭嶼沿海地區易有長浪發生,前往海面活動的朋友要注意安全。
另外,鄭明典也說,南修颱風的螺旋雲系範圍很小,但是近中心的對流旺盛,雲系也很對稱,是個小而結實的颱風,對日本的潛在威脅還是很高!預計前往日本的民眾要留意颱風的最新動態及航班資訊。
▲周末至下周一天氣不穩定,全台降雨機率高。(圖/記者李毓康攝)
[廣告] 請繼續往下閱讀..
週六至下週一(3日至5日)期間天氣最為不穩定,全台降雨機率高,並有局部大雨發生的機率。西南風的關係,迎風面的中南部地區不僅雨勢大,下雨的時間也較長;氣溫上,由於下雨明顯的關係,各地高溫也會下降轉涼一些。