
▲「樺加沙」將直撲廣東。(圖/翻攝自微博)
記者廖翊慈/綜合報導
中國中央氣象台24日消息指出,颱風「樺加沙」將登陸廣東沿海,將成為今年以來,登陸中國的最強颱風,預計,「樺加沙」將以每小時20至25公里的速度向偏西方向移動,將於24日下午到晚上,在廣東台山到湛江一帶沿海登陸,甚至恐還帶來龍捲風。
[廣告] 請繼續往下閱讀.
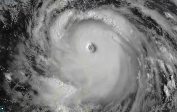
綜合陸媒報導,中國氣象局專家表示,颱風「樺加沙」是今年以來最強的颱風,同時也將是影響最嚴重的颱風,「『樺加沙』結構完整,風眼清晰,體型非常龐大,直徑超過了1000公里,這也說明它的能量大,水汽豐沛,後續影響需要高度關注。」
▲當地居民拍下海邊狀況。(圖/翻攝自微博)
該專家說道,「從情勢圖來看,冷空氣的南下對『樺加沙』的行進路徑,造成一定影響,它將以西行為主,貼著廣東、廣西沿海前進,今天,它的10級風圈半徑有150公里,相關海域航行船舶要及時回港避風,做好港口設施加強工作。」
[廣告] 請繼續往下閱讀..
他提醒,「另外,南下的冷空氣遇到颱風,將會激發猛烈的降雨和強對流天氣,廣東、廣西、福建等地會出現雷暴大風、冰雹,甚至不排除發生龍捲風的可能性,浙江南部、福建南部、廣東東部等地沿海累計降雨量具有極端性,需注意防範次生災害。」
他強調,同時,24日正值農曆初三,天文大潮期間,再加上「樺加沙」帶來的風暴潮,雙潮疊加,在珠江口附近可能出現海水倒灌的情況,「預計今上午,是颱風距離珠江口最近時段,大灣區處於颱風前進右側的危險半圓,一定要嚴陣以待。」