
▲卡努水氣持續影響台灣。(圖/翻攝彭啟明臉書)
記者陳俊宏/台北報導
越晚風雨越大!天氣風險公司總經理彭啟明提出5點提醒,今天開始受颱風外圍環流影響,西半部將有陣雨現象,降雨範圍逐漸往南延伸;颱風帶動的西南季風也會增強,中南部降雨將增多。
[廣告] 請繼續往下閱讀.
彭啟明在臉書說,今天北部的風勢將顯著增強,尤其沿海區域,市中心受到地形阻擋,風勢雖沒那麼強,但仍要注意安全,也請您多檢查一下您家、公司的招牌等,外出也要注意容易有些路樹倒塌等意外。
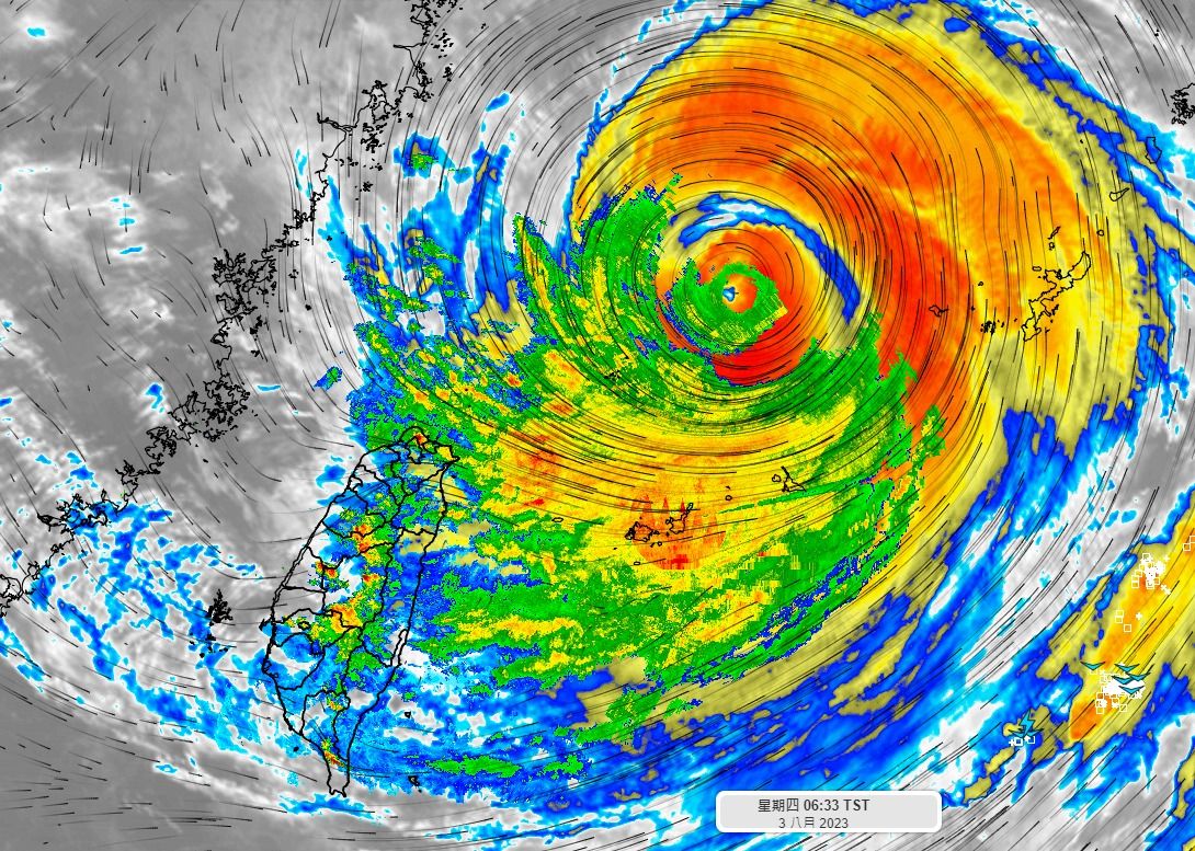
1、 卡努颱風最新動態
卡努颱風目前位於台北東北東方300多公里的海面上,今天、周五將是颱風最接近台灣的時間,周末將朝東北方遠離前往日本。
▼卡努今天、周五最靠近。(圖/翻攝彭啟明臉書)
2、 颱風警報情況
[廣告] 請繼續往下閱讀..
氣象局周三已經發布大台北地區、宜蘭及北部、東北部的海上陸上颱風警報,最快可能在今天深夜至周五晨前解除陸上颱風警報,周五下半天將陸續解除海上颱風警報。
3、 今天、周五天氣預測
[廣告] 請繼續往下閱讀...
今天開始受颱風外圍環流影響,西半部將有陣雨現象,降雨範圍逐漸往南延伸;颱風帶動的西南季風也會增強,中南部降雨將增多,可能伴有大雨,西部山區需留意豪雨的可能。東部天氣較穩定,有焚風發生機會。
4、 周末天氣預測
隨著颱風遠離,周末北部天氣將逐漸恢復穩定,但由於將轉為西南風環境,中南部仍需防範局部大雨。
5、 安全提醒
今天、周五外出請注意劇烈天氣變化,尤其是強風與陣雨,確保自身安全。
▼各地實測風力。(點圖可放大/翻攝彭啟明臉書)