▲科學家發現充滿海洋生物的海底世界。(圖/取自CSIRO)
[廣告] 請繼續往下閱讀.
國際中心/綜合報導
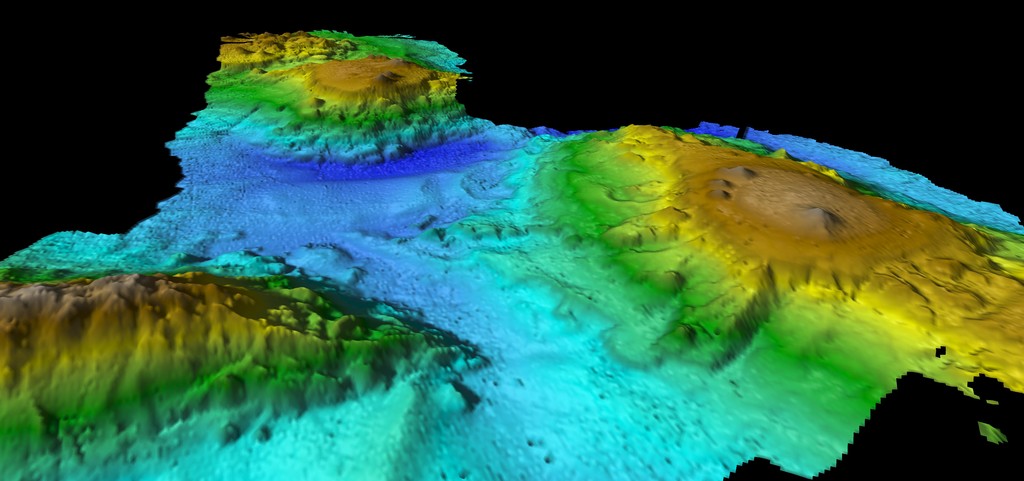
澳洲科學家考察塔斯曼海域(Tasman Sea)時,意外發現海底藏著驚奇的「失落世界」,若從海底開始計算,這一系列的火山最高達3000米,但因為最高峰離海面也有2000米,過往從未被人類發現。研究人員表示,火山地勢的尺寸與形狀皆不同,包括尖銳的高峰與寬闊的高原,還有一些較小的錐形山丘。
澳洲聯邦科學與工業研究組織(CSIRO)與國立大學科學家攜手合作,在紐澳間的塔斯曼海以東400公里處下發現從沒見過的群山。海洋地球科學家馬丁(Tara Martin)說明,藉由多波束測繪圖的技術,這是第一次揭示從5000米深的深海平原上,升起連續的海底火山,「這是非常多樣化的景觀,不用懷疑,會成為擁有令人眼花繚亂的海洋生物的熱點地區。」
▲CSIRO的研究船隻。(圖/取自CSIRO)
[廣告] 請繼續往下閱讀..
馬丁表示,非常肯定這些海底群山與3000萬年前澳洲與南極的分裂有關。塔斯馬尼亞大學動物學家和鳥類研究員艾瑞克(Eric Woehler)則說,這些群山成為座頭鯨覓食的通道,對於海底下的生物至關重要,「我們希望海山全年都能是生物熱點,(未來的)夏季訪問將提供我們另一次機會,以揭開支持海洋生物的神秘面紗。」
▲座頭鯨。(圖/取自CSIRO)
艾瑞克觀察到,這些海底山群改變了地區的海洋學,「它們使得周圍的水流有了變化。」除了座頭鯨受益,研究人員也發現群山提高了海洋生物的生產力,每天看到大量的海鳥如4種信天翁與4種海燕,還有60到80隻的領航鯨。
[廣告] 請繼續往下閱讀...
▲黑眉信天翁。(圖/取自CSIRO)
根據研究顯示,這個「水底世界」可能成為部分遷徒動物的停靠點,特別是鯨魚,牠們也利用海底的特徵來幫助判斷方位。預計11與12月時,會再進行更多調查。
▼一系列的海底群山。(圖/取自CSIRO)
